Beschrijving

TE KOOP : 

In de privéjachthaven van Beulaeke Haven te Wanneperveen aan de Beulaeke Wiede, het grootste meer in de kop van Overijssel met open (staande mast) verbindingen naar het Ketelmeer, IJsselmeer en de Friese meren.

Wat deze haven bijzonder maakt, is dat de ligplaatsen niet uitsluitend zijn voorbehouden aan bewoners van het park. Ook zonder woning op deze fantastische locatie is het mogelijk om eigenaar te worden van een vaste en eigen ligplaats. Een zeldzame kans in een regio waar het aanbod schaars is en de vraag naar ligplaatsen hoog. 

Hierbij bieden wij dus aan: 

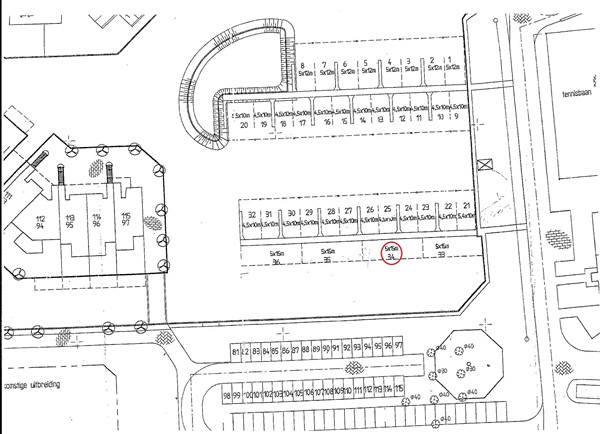
Een 15 m. ligplaats  (15m x 5m )  met eigen elektra-aansluiting + meter en drinkwater. 
Ligplaats is dus voor een grotere boot / jacht of eventueel op te splitsen in 2 kleinere ligplaatsen van ca. 7.50m. Indien men 1 kleine ligplaats nodig heeft zou de andere ook verhuurd kunnen worden.... 

De ligplaatsen vallen onder een eigen VVE. De VVE bijdrage voor deze 15m. ligplaats is € 498,-. per jaar voor o.a. reservering onderhoud steigers,  verlichting, gebruik water, verzekering en gezellige vergadering met hapje en drankje.

Voorts is aanwezig op 50 meter afstand van de haven een zeer gezellig havenrestaurant met terrassen. 

Een eigen ligplaats is vaak aantrekkelijker dan een huurligplaats. De privacy en gezelligheid van een privé-jachthaven spreekt velen zeer aan. 

Laat u zich eens vrijblijvend informeren. Tel. 0522-282193. 

Koopprijs en condities op aanvraag.


VDB Vastgoed BV 
Tel. 0522-282193 
Site : www.vdbvastgoed.nl 
E-mail: info@vdbvastgoed.nl

Kenmerken